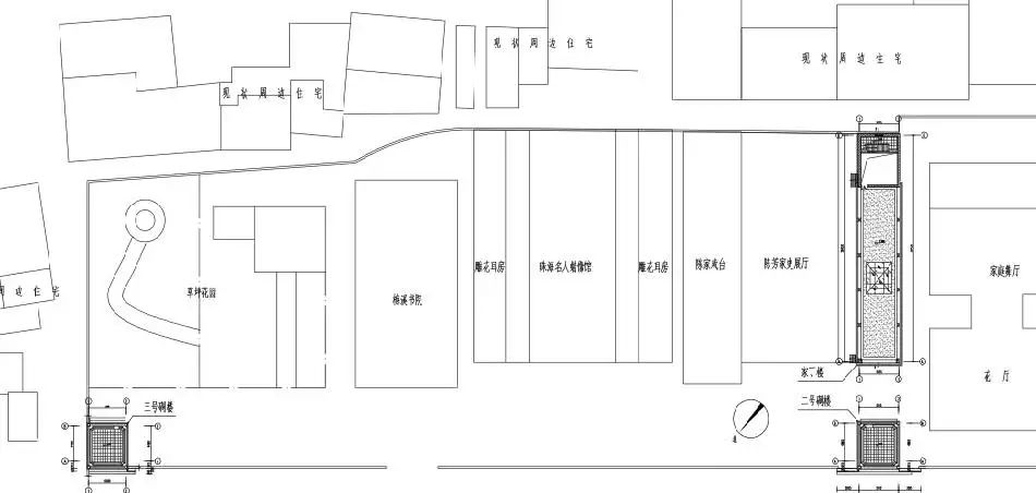
Renovation Project of Chen Fang's Residence (Servant Building, No. 2 and No. 3 Watchtowers)

陈芳故居位于梅溪村口,建于清代晚期,总占地面积5742平方米,建筑面积2600平方米,包括陈公祠1座、大屋3座、洋房和花厅各1座。

陈芳故居位于梅溪村口,建于清代晚期,总占地面积5742平方米,建筑面积2600平方米,包括陈公祠1座、大屋3座、洋房和花厅各1座。

石牌坊群,建于清光绪十二年(1886年)和光绪十七年(1891年),原为4座,现仅存3座,均为三间三楼式石牌坊。

陈氏墓园,园内葬有陈芳妣陈母李氏安人,以及三子陈庚虞,长孙陈永安等。为石砌灰砖墓,座北向南,占地2000平方米,筑有凉亭,竖有民国时期广东督军莫荣新题写的”胜地佳城”石牌。

清道光五年(1825年),陈芳出生于梅溪村,二十八年(1848年)开始在夏威夷经商,后来成为当时檀香山华人百万富翁第一人,有”商界王子”之美誉。陈芳致富后不忘家乡,对国内多有捐助。此石牌坊群就是光绪皇帝为陈芳及其父母等人在家乡热心公益事业而诰封兴建的。

1890 年,陈芳回国后开始建造陈芳家宅,1896 年修建成的建筑群体。
1937 年,抗日战争爆发后,陈氏族人陆续迁往美国居住,故居就此闲置,只有少数的更夫和佣人定期的维护和打扫。当日军占领珠海时也强行占领了故居,将许多建筑与建筑间的间隔打开,建成了一个日本陆军的临时医院,其中陈芳故居内部分木家具和屋梁被日军拆除焚烧。解放后,陈芳家宅又长期作为部队营房,期间部分建筑进行改造维修。
文化大革命时期,红卫军破除四旧,陈芳家宅内各建筑遭受不同程度的破坏。
改革开放后,陈芳家宅周边仍然被菜市场、制鞋厂所占领,故居与牌坊群则独 对荒烟蔓草,至此陈芳家宅荒废了半个世纪。
1987 年,梅溪牌坊被珠海市政府定为珠海市文物保护单位,1989 年被广东省政府定为广东省文物保护单位。
1999 年9 月,陈芳后人与珠海市政府签订了托管协议,陈芳家宅保护、开发、经营的工作由梅溪旅游发展有限公司负责,逐步发展为旅游景区。
2006 年,陈芳家宅被国务院核定公布为第六批全国重点文物保护单位,2013 年至2015 年,珠海市政府主持对陈芳家宅的保护规划及修缮方案的编制。
2015 年至2016 年,对陈芳家宅进行整体修缮工程施工(家丁楼等亦在本次修缮范围内)。

(一)历史价值:陈芳家宅建成距今已有百多年历史,是由珠海市前山镇梅溪人陈芳主持兴建,陈芳是第一位的华侨百万富翁,被誉为“商界王子”,陈芳晚年热心公益事业,捐资清政府,光绪皇帝赐予“急公好义”牌坊,陈芳家宅作为这段历史的见证载体,对研究广东地方史、华侨史及民俗有着较高的历史价值。陈芳家宅还是研究广东地方史、华侨史及民俗的珍贵历史实体材料。

(二)科学价值:陈芳家宅建筑风格中西结合,其建筑规划的合理布局、内部构造等方方面面,均体现了其科学性。建筑样式、结构、材料、施工工艺技术反映建筑历史文化特点,具有较高科学研究价值。

(三)艺术价值:陈芳家宅建于晚清,同时又融入的西方的建筑特色,建筑外观装修考究,传统的灰塑装饰、花岗岩石墙脚及墙身、陶花窗、绿釉陶瓷花樽、百叶窗等一应俱全,是融合中西方建筑艺术风格为一体的建筑精品,具有一定的艺术价值。

(四)社会价值:陈芳家宅作为当地名人陈芳的故居,是城市的记忆和城市的辉煌,能给所在的城市乃至区域带来鲜明的文化特征和归属意愿。作为全国重点文物保护单位,陈芳家宅还拥有着牌坊群,是民众参观休闲,认知传统建筑和文化的重要地点,将其更好活化利用,具有良好的社会价值。

(五)文化价值:中国人自古有浓郁的家宅观念,陈芳家宅作为当地名人陈芳的故居,即是其生活起居的场所,又是繁衍生息的隐蔽场所,其家宅的重要性形成了家宅吉祥文化,亦是对研究家宅文化重要的实物依托。

en_USEnglish